TeamViewer Motive 4

XTU "Core Voltage Offset" ausgegraut

Mickz

Lt. Junior Grade
Registriert
Aug. 2014
Beiträge
307
Ahoi,
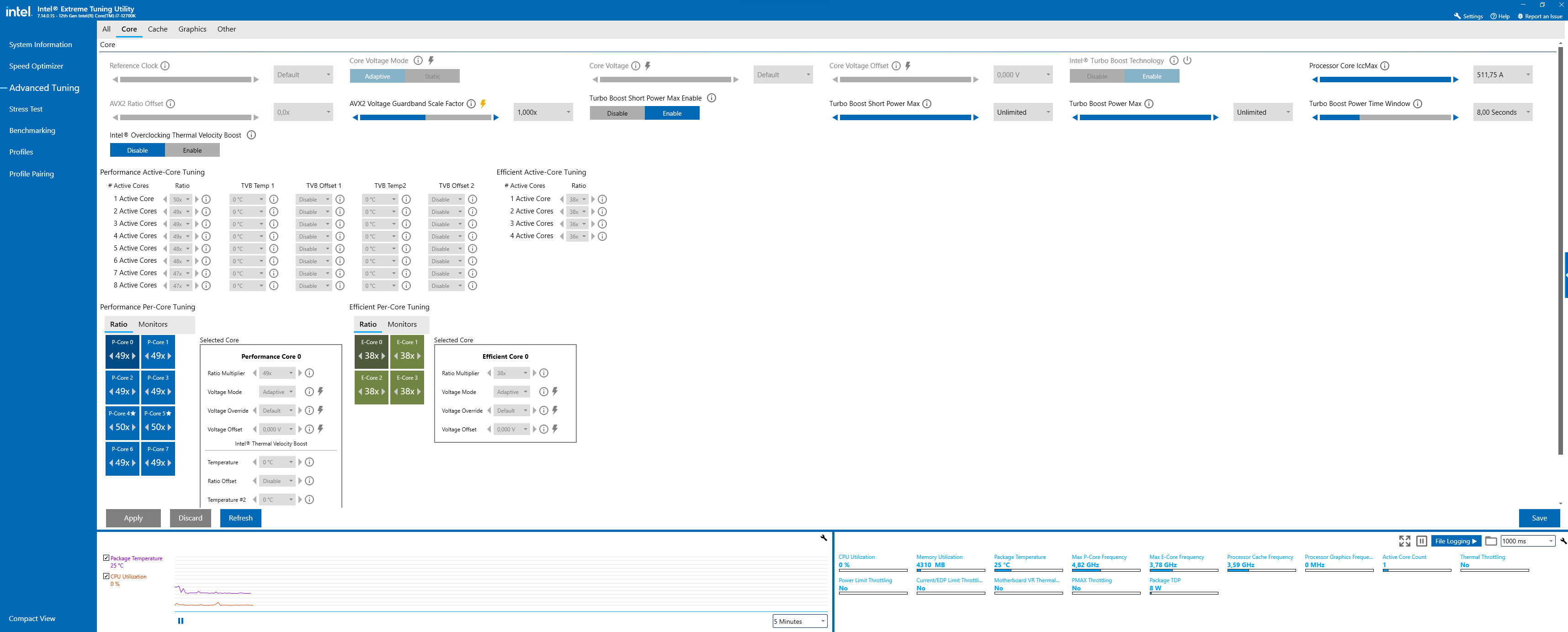
wollte mich ein wenig mit dem Thema undervolten beschäftigen. Nun habe ich mir XTU installiert aber gemerkt, dass manche Reiter wie "Core Voltage Offset" ausgegraut, also nicht nutzbar sind. Liegt es evtl. an meinem B760M Board. Meine Specs:

CPU: 12700k
RAM: 2 x 32GB 5600 G.Skill DDR5
NVMe: Crucial CT2000SPSSD8
MoBo: B760M Aorus Elite AX
Netzteil: BQ SP 850W
GPU: 7900 XT XFX
CPU-Kühler: Noctua NH-D15
OS: Win11 64Bit Pro
 

Anhänge

  • xtu.png
    xtu.png
    205 KB · Aufrufe: 298
Check mal ob es im UEFI die Option Undervoltage Protection gibt und diese ausgeschaltet ist.

Auch funktioniert XTU Undervolting nicht mit Memory Integrity (HVCI) zusammen, das muss in Windows abgeschaltet sein. (Windows Gerätesicherheit -> Kernisolation -> Speicherintegrität)
 
  • Gefällt mir
Reaktionen: Mickz
@cvzone
Undervoltage protection nennt sich das nur bei MSI Motherboards - meine ich, schaue aber noch mal nach. Speicherintegrität ist aus wenn ich das richtig sehe.
 

Anhänge

  • kerniso.png
    kerniso.png
    48,6 KB · Aufrufe: 286
Da stimme ich dir zu...nur habe ich das nicht im UEFI gefunden, trotz Suchfunktion. Habe den Gigabyte Support mal angeschrieben. Evtl. kennen die den passenden Namen oder Stelle dafür.
 
Sapphire Forum
Zurück
Oben