Trassenauskunft

Kev.in_A

Newbie
Registriert
Mai 2024
Beiträge
6
Guten Abend liebe Leute,
Komme selbst mit der Legende nicht weiter. Auf dem Grundstück sind Tiefbauarbeiten geplant.

Jetzt werde ich aus der 1,8 nicht schlau und aus 11+40+41.

Kann leider nicht wirklich herausfinden wo genau das Kabel jetzt verlegt wurde.

Hat da jemand eine Idee? 😁

Liebe Grüße
IMG_6405.jpeg
 
Guten Abend @Kev.in_A,

ich muss gestehen, dass ich mich damit auch gerade schwertue. Gerne stelle ich stellvertretend für dich den Kontakt zu unserer Technik her. Die können es einmal genau darlegen, damit es nicht zu Beschädigungen kommt. Wenn du magst, sende mir ein Kontaktformular zu.

Ich wünsche einen schönen Feiertag!

Viele Grüße

Natalie P.
 
  • Gefällt mir
Reaktionen: Kev.in_A
Danke sehr :)
Ich fülle das Kontaktformular aus.
Gleichfalls hoffentlich noch einen ruhigen Feiertag.

Viele Grüße
 
  • Gefällt mir
Reaktionen: Telekom hilft
Ich danke dir für das Kontaktformular! Soeben habe ich dir geantwortet, da ich noch die komplette Anschrift brauche. So, finde ich die richtigen Kolleg*innen.

Viele Grüße

Natalie P.
 
Die Kabel sind Erdverlegt.
11+40+41

11 Durchmesser des Rohres
Rest Abstand zum Verteiler und der Weg bis zu dir rein.
 
  • Gefällt mir
Reaktionen: Kev.in_A und Telekom hilft
Ich danke dir für die Übersetzung!

Viele Grüße

Natalie P.
 
  • Gefällt mir
Reaktionen: Kev.in_A
TorcNew schrieb:
Die Kabel sind Erdverlegt.
11+40+41

11 Durchmesser des Rohres
Rest Abstand zum Verteiler und der Weg bis zu dir rein.
Danke erstmal für die Antwort :)

Und die 1,8?

Angaben wie weit es von der Hauskante oder andere Haushaltspunkte kann man nicht herausfinden oder? :)

Liebe Grüße
 
Das verstehe ich so halb. Ist es bis zur Grundstücksgrenze oder Straßenmitte😁 Danke nochmal.

Mir fehlt eher das Maß
 

Anhänge

  • IMG_6408.jpeg
    IMG_6408.jpeg
    338,6 KB · Aufrufe: 138
Kev.in_A schrieb:
Ist es bis zur Grundstücksgrenze oder Straßenmitte
Was außerhalb deines Grundstückes ist, ist für dich nicht relevant.
Das ist nur für eine Baufirma relevant.
Diese können auch solche Pläne lesen.
 
  • Gefällt mir
Reaktionen: Kev.in_A
Da hast du wohl recht. 👍😁

Wie gesagt eigentlich fehlt mir nur der Anhaltspunkt wie weit es z.B. von der Hauskante weg ist 😁
 
Ich habe einen Zwischenbescheid bekommen. Hier wird von unserer Seite nochmal etwas vor Ort weitergeleitet für eine "belastbare Auskunft". Sorry für die Wartezeit!

Viele Grüße

Natalie
 
Die Kolleg*innen werden sich jetzt selbst bei dir melden, um alle offenen Fragen zu klären. :)

Viele Grüße

Natalie
 
Danke sehr :)
Freue mich auf eine Rückmeldung.
Liebe Grüße
Kevin
 
  • Gefällt mir
Reaktionen: Telekom hilft
Kev.in_A schrieb:
Mir fehlt eher das Maß
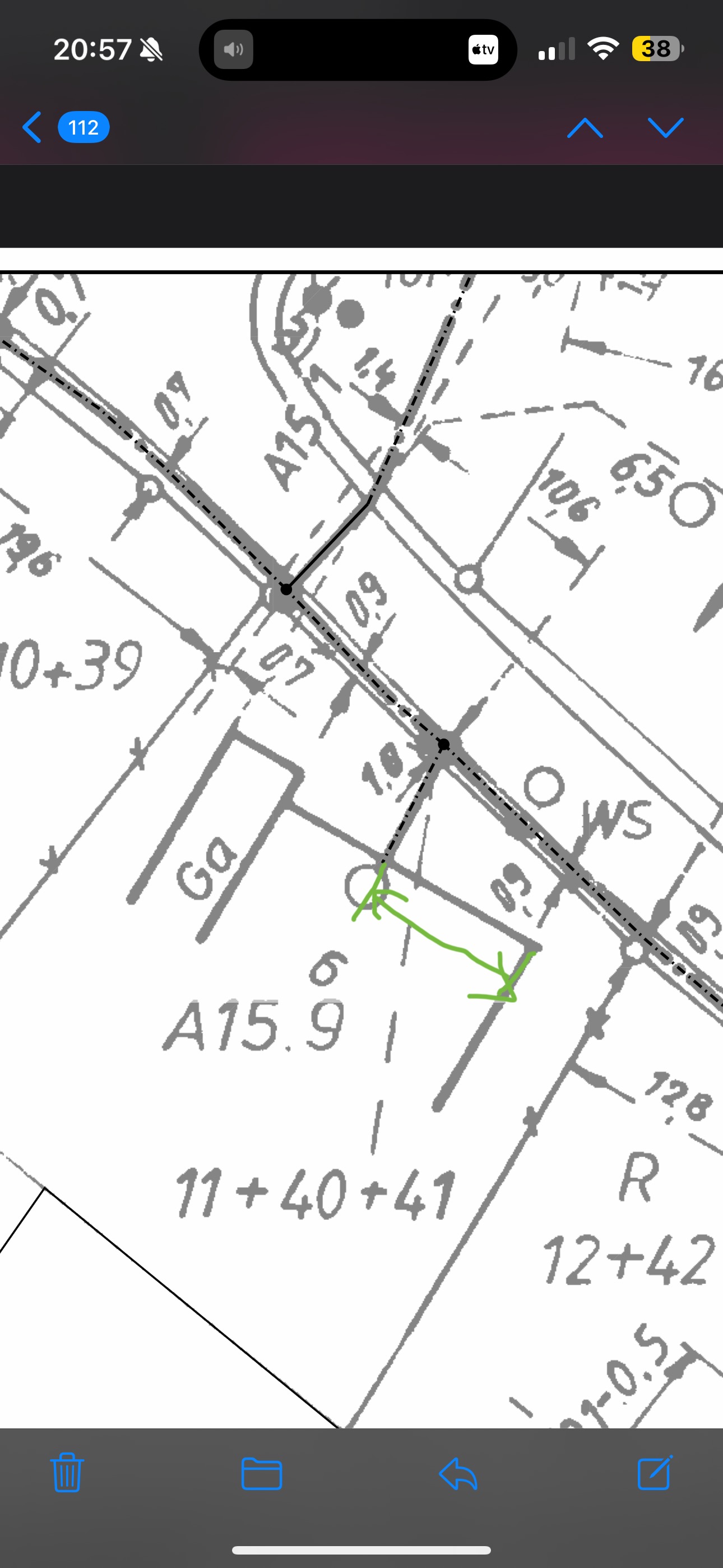
Dieses Maß ist nicht angegeben. Man kann es nur indirekt erahnen. Siehe markierte Maße. Diese beziehen sich auf die Grundstücksgrenze.

Trassenauskunft.png


Von der Muffe aus geht das Kabel dann ziemlich senkrecht ins Haus rein. Die "1,8" beziehen sich auf den Abstand zur Grundstücksgrenze. Ich würde das aber nicht als 1,8 lesen, sondern als 1,0. In Bezug auf die anderen beiden Maße von 0,9 macht das auch viel mehr Sinn.

TorcNew schrieb:
Die Kabel sind Erdverlegt.
11+40+41

11 Durchmesser des Rohres
Rest Abstand zum Verteiler und der Weg bis zu dir rein.
Das würde ich nun eher nicht so lesen. Vor allem da beim nächsten Grundstück dann 12+42 steht. Und beim Grundstück davor 39. Das wäre dann schon sehr großer Zufall, wenn sich das auf irgendwelche Maße bezieht. Rohr ist auch keines drin, da es eine Strichpunktlinie ist, also direkt erdverlegt.

Nein, sowas hab ich tatsächlich noch nicht in einer Trassenauskunft in der Form gesehen. Möglicherweise bezieht sich diese Angabe auf die Doppeladern die herausgespleißt sind oder irgendwelche Parzellennummern von damals bevor Häuser standen und das ein Neubaugebiet war. Selbiges würde auch erklären, warum es keine Maße auf Gebäude gibt, sondern nur auf Grenzen.
 
  • Gefällt mir
Reaktionen: Telekom hilft und Gerd_28
@Kev.in_A : Ich habe die Info erhalten, dass inzwischen ein Kollege vor Ort war und mit dir gesprochen hat. Somit sind sicherlich alle offenen Fragen geklärt. :)

Viele Grüße

Natalie
 
Zurück
Oben